プレスリリース
(研究成果) 果樹の温暖化被害(着色不良・日焼け・晩霜害)を予測するシステムを開発

- 必要な適応策(対策)の実施と、過剰な対策の回避をサポート -

情報公開日:2025年12月16日 (火曜日)

ポイント

近年、果樹では着色不良、日焼け、晩霜害などの温暖化に起因する被害が増えています。そこで、気象データに加え、果樹の種類や発育状況を考慮することで、被害発生を高い精度で予測するシステムを新たに開発しました。このシステムにより、生産現場では被害発生前の対策の必要性を的確に判断できるため、利用者に適時の必要な対策実施を促すとともに、必要以上の対策の回避が可能になります。その結果、温暖化に伴う果樹生産の損害や対策コストの低減が期待できます。

概要

温暖化は、農業生産に大きな影響を与えています。そのため、温暖化への適応策は食料の安定供給等のために欠かせない取り組みです。果樹は農作物の中でも特に温暖化の影響を受けやすく、夏季の高温による果実の着色不良や日焼けの発生が増加しています。また、春先の高温は開花期を早めることで、晩霜害リスクを高めています。これらの被害による生産量の減少は、生産者の収入低下や果実の流通価格上昇につながります。

適応策(対策)としては、より高温に強い品種や品目への改植も考えられますが、苗木を植えてから果実の収穫が可能になるまでの数年間は収入が得られないという課題があります。そのため、現在栽培している樹で生産を継続することを前提に、被害を軽減するためのさまざまな対策技術が開発されてきました。しかし、これらはいずれも事前に講じておく必要がある予防的対策であり、多くの労力やコストを必要とします。温暖化による影響の有無や程度は年によって異なるため、事前の対策の必要性を、被害発生予測に基づいて判断することが効果的です。

精度の高い被害発生予測には、精度の高い気象の予測情報が必要です。近年は1か月先までの主な地点における気温予測データが気象庁から公表されており、これらの資料をもとにして1km四方ごとに予測されたきめ細かなデータがメッシュ農業気象データ1) として提供されるなど、気象情報を活用する環境が整備されてきました。さらに、果樹の種類やその発育状況を考慮することで、被害発生予測精度が大きく向上することが明らかになっています。

農研機構では、これらの気象情報や果樹の発育状況に基づき、リンゴなど主要な果樹における着色不良、日焼け、晩霜害といった、温暖化に伴う気象被害(温暖化被害)がいつどこで発生するかを予測するシステムを、石川県農林総合研究センター、三重県農業研究所、福島県農業総合センター、株式会社ビジョンテックと共同で開発しました。システムによって被害の発生が予測されれば、発生すると予測された時期をもとに、適時の適応策実施の促進につながります。逆に、その年の被害が発生しないと予測できれば、必要以上の対策の実施を回避することができ、不要なコストおよび労力の投入を抑制することが可能となります。

例えば、ブドウ果実の成熟が進む期間に気温が高く推移した場合、収穫期になっても果皮が十分に着色しない障害(着色不良)が発生します。この対策技術として、環状剥皮2)着果制限2)植物ホルモン剤2)反射マルチ2)の利用等が開発されていますが、これらの技術は収穫期より1か月以上前に実施する必要があるのに対し、その時点では収穫期における着色不良の発生の有無が不明であることが、対策の実施や対策技術の普及を難しくしています。本システムでは、収穫期の1か月以上前に着色不良の発生を予測することができるため、対策を講じるべき時点での適切な判断を支援することが可能です。

農研機構は、この技術を普及することで、温暖化による被害の低減や必要以上に行っていた対策コストの削減を進めます。現在は、生産者団体・自治体等が本システムを利用できますが、WAGRI3)を通じた情報提供が可能となっているため、今後、ICTベンダーを通じて個々の生産者の利用も可能となる見込みです。

左から、リンゴの着色不良、ウンシュウミカンの日焼け、ニホンナシの晩霜害

関連情報

予算 : 生研支援センター「戦略的スマート農業技術等の開発・改良」(JPJ011397)、農林水産省戦略的プロジェクト研究推進事業「農業分野における気候変動適応技術の開発」(JPMEERF20S11806)、生研支援センター「イノベーション創出強化研究推進事業」(26087C)

問い合わせ先など
研究推進責任者 :
農研機構果樹茶業研究部門 所長草塲 新之助
研究担当者 :
同 研究推進部研究推進室杉浦 俊彦
広報担当者 :
同 研究推進部研究推進室 果樹連携調整役三谷 宣仁

詳細情報

温暖化被害予測システム開発の背景

果樹農業は温暖化の影響を受けやすいため、全国の産地では、夏の高温による果実の着色不良や日焼けが多発しています。また、春先の気温上昇による発芽・開花期の早期化により、晩霜害のリスクも高まっています。こうした温暖化被害を未然に防ぐため、各地のほ場で実践できる適応策(対策)、例えば、遮光ネットの設置(日焼け対策)、燃焼資材の利用(晩霜害対策)などが開発されてきました。

しかし、温暖化による影響の有無や程度は年によって異なり、また、対策を講じるには相応のコストや労力が必要なため、こうした対策の普及が進んでいないのが現状です。もし、その年に被害が発生することを予測できれば、対策実施の促進や対策を空振りに終わらせるリスクの低減につながります。

対策を講じないまま被害が生じることで生産量が減少したり、不要な対策によるコスト増加が発生したりすると、果実の価格が上昇する可能性があり、消費者にとっても不利益となります。

温暖化被害予測システム開発の経緯

  • 発育状況により被害の起こりやすさが異なる
    これまで、果実の着色不良や日焼けを予測できるシステムは開発されていませんでした。また、晩霜害については、気象庁による霜注意報などの気温の予報値を基にした被害の予測情報はありましたが、同じ温度条件であっても、果樹の種類やその年の発育状況によって被害の起きやすさは大きく異なるため、気象の予測と果樹の発育状況の両面を考慮した精度の高い予測はできていませんでした。
  • 予測情報の発信には最適なタイミングがある
    被害を抑えるには、実用的な対策を適切なタイミングで講じる必要があります。そのため、精度の高い被害予測情報を適切なタイミングで提供することが求められています。

研究の内容・意義

本システムは、気象の予報値だけでなく、果樹の種類や発育状況の情報も活用し、被害がいつ・どこで発生するかを予測します。さらに、予測結果を被害の種類ごとにタイムリーに配信することができます。果樹の種類や発育状況は、ユーザーがほ場の状況に基づいて入力します(図1)。気象情報についてはメッシュ農業気象デ-タ1)を利用しており、ユーザーが入力した位置情報をもとに、1km四方単位の予報値が利用可能で、より精度の高い情報を得ることができます。

現在、本システムで提供している予測情報は「着色不良」「日焼け」「晩霜害」の3種類であり、それぞれの概要は以下のとおりです。

図1着色不良予測システムの画面例。まず位置情報を入力し、果樹の種類を選択、満開日等の発育状況を入力する。
  • 着色不良

    リンゴやブドウの果皮を赤や黒に染める色素(アントシアニン)の合成は、高温によって阻害されるため、夏から秋にかけて高温が続くと、収穫期になっても十分に色づかず、着色不良が発生します(図2)。高温が原因の着色不良では食味が低下することはありませんが、外観が悪くなり商品価値が低下します。

    着色不良の対策技術として、反射マルチ2)をほ場に敷く、新梢の誘引や摘心、葉摘みなどで果実周辺の光環境を改善するほか、ブドウの場合は、植物ホルモン剤2)の散布や、樹皮の一部を剥がす環状剥皮2)(図2)、着果制限2)が挙げられますが、これらの対策は、収穫期の少なくとも1か月以上前に講じる必要があります。

    そのため本システムでは、ブドウ(巨峰)では満開50日後、リンゴ(ふじ)では満開140日後(いずれも収穫期約40日前)の時点における着色不良の発生予測を行い、適切な時期に必要な対策技術を実施できるようにしました。

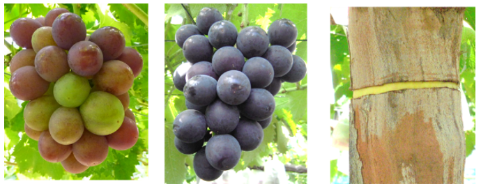
    図2ブドウ(巨峰)における、高温により着色不良となった房(左)、主幹部への環状剥皮(右)によって着色が改善された房(中)
  • 日焼け

    気温が非常に高い日には、果実の温度も上昇します。日焼けは、果実の表面温度が一定以上になった状態で、直射日光が当たることで、その部分が局所的に極端な高温となり、果皮が黄色や茶色等に変色する障害です(図3)。組織が壊死し、出荷できなくなるため減収となります。日焼けが発生する温度は品目によって多少異なりますが、ほとんどの果樹で見られ、特にリンゴやカンキツでは大きな被害が発生しています。

    対策の一例として、遮光ネット(図4)を使い樹全体や一部を覆うことで、果実温度の上昇を抑え、日焼け発生を軽減することができますが、遮光ネットの着脱には大きな労力が必要となるほか、長期間の遮光は樹の光合成に悪影響を及ぼす恐れがあるため、着脱のタイミングの判断が難しい技術です。

    本システムを活用することで、リンゴ(ふじ)と極早生のウンシュウミカン(崎久保早生)の日焼け発生を遅くとも5日前までに予測することが可能であるため、遮光ネットの使用や適切な着脱タイミングの判断に活用することができます。日焼けの発生しやすさは果実の大きさの影響も受けるため、大きさの異なる他の品種等で利用する場合は補正値を入力することで、予測精度が向上する場合があります。

    図3リンゴの日焼け
    図4遮光ネットによるリンゴ日焼け対策
  • 晩霜害

    晩霜害は、早朝の低温によって発芽後の芽や花などが障害を受ける現象で(図5)、組織が壊死することにより結実不能になるなどの影響があります。冬の間、休眠している芽は非常に寒さに強いですが、発芽・開花後は低温に対して急速に弱くなります。そのため、早春が暖かく発芽や開花が早まった年は、その後の低温による被害のリスクが高くなります。

    対策としては、ほ場で資材を燃焼させ、熱によって樹体と周辺温度を上昇させる「燃焼法」(図6)が主に用いられますが、被害発生が予測される日の前日のうちにほ場に灯油入りの容器など燃焼資材を並べておき、未明に点火する必要があるなど、対策のタイミングが重要になっています。

    また、被害が発生する温度は、果樹の種類だけでなく、芽・蕾・花・幼果など発育状況によって短期間で変化します。多くの場合、発育が進むほどより高い温度でも被害が発生することが分かっています。そこで、本システムを活用し、品種とほ場で観測した発育状況をメニューから選択することで、リンゴ、ニホンナシ、モモ、オウトウ、ブドウ、カキの晩霜害被害を遅くとも被害発生の2日前までに予測し、対策を実施すべき日がいつであるかを判断することが可能です。

    図5晩霜害で褐変したリンゴの蕾
    図6燃焼法によるモモ園の晩霜害対策

今後の予定・期待

今後は、このシステムを普及することで、気候変動にともなう温暖化被害の低減や必要以上に実施していた対策コストの削減に貢献します。本システムは現在、生産者団体や自治体などが有償で利用できます。自治体等で生産者に対策を促すための情報発信に用いる場合は、予測情報をシステムの共同開発者であるICTベンダーから購入するほか、論文等で公開している本システムの予測技術を用いて、独自に予測を実施することも可能です。また、本システムはWAGRI3)を経由することで外部システムからの利用も可能となっているため、今後はICTベンダーを通じた、個々の生産者が利用できるサービスの開始に向けて検討を進めます。

用語の解説

メッシュ農業気象データ
農研機構が開発した気象データサービスで、全国の日別気象データを約1km四方ごとに毎日提供している。日平均・日最高・日最低気温や全天日射量などの過去データに加え、最長26日先までの気象庁資料に基づく予報値など、将来の推定値も取得できる。 [概要へ戻る] [研究の内容・意義へ戻る]
環状剥皮・着果制限・植物ホルモン剤・反射マルチ
いずれも果実の着色を改善するための技術。環状剥皮は樹皮の一部を剥がして栄養分の流れを変える方法、着果制限は果実数を減らす方法、反射マルチは地面に到達した光を反射させて果実周辺の光環境を改善する方法で、いずれも果実の栄養分を増やし着色を向上させる。また、植物ホルモン剤(アブシシン酸)を散布することで、アントシアニンの合成を促進する。いずれも収穫直前に実施した場合、本来の効果は得られない。 [概要へ戻る] [研究の内容・意義へ戻る]
WAGRI
気象や収量予測など、農業に役立つデータやプログラムを提供する公的なクラウドサービス。会員になることで、データやプログラムを適宜組み合わせて、Webサイトやスマートフォンを通じて生産者等に提供できる。詳しくはウェブサイトを参照。
URL: https://wagri.naro.go.jp/ [概要へ戻る] [今後の予定・期待へ戻る]

発表論文

Sugiura, T., M. Shiraishi, S. Konno and A. Sato. Prediction of skin coloration of grape berries from air temperature. 2018. The Horticulture Journal 87, 18-25.
https://doi.org/10.2503/hortj.OKD-061

Sugiura, T., N. Fukuda, T. Tsuchida, M. Sakurai and H. Sugiura. Modeling the relationship between apple quality indices and air temperature. 2023. The Horticulture Journal 92, 424-430.
https://doi.org/10.2503/hortj.QH-076